Terratetto a Lastra a Signa

In vendita
Porzione di Casa
Lastra a Signa
346.500 €
Descrizione
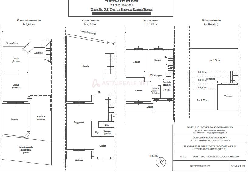
Nel comune di Lastra a Signa, via delle Macine 47, si trova in vendita IN ASTA un terratetto su tre piani fuori terra e piano seminterrato, facente parte di un più ampio fabbricato, composta al piano terra da resede ed al suo interno da soggiorno, cucina, dispensa, terrazzo, antibagno e bagno, al piano primo da disimpegno, tre camere di cui una con terrazzo e due bagni, il piano sottotetto è composto da zona centrale termica, al piano seminterrato è presente una zona lavanderia, un bagno e due vani.

Data asta 24/04/2026, Offerta minima € 346.500,00
Contattaci per avere maggiori informazioni sulle aste.
Acquista in asta e ottieni anche tu un risparmio o guadagno sull’ immobile, difficilmente realizzabile con l’acquisto nel mercato tradizionale.
Se la casa di questo annuncio è la TUA contattaci e chiedici come possiamo aiutarti.
EASY ASTA, trova con noi la tua nuova casa!

Caratteristiche principali
Codice:
106/2025 1 FI
Città:
Lastra a Signa
Categoria:
Porzione di Casa
Locali:
5
Camere:
3
Bagni:
4
Mq:
309,25
Mq Giardino:
77,6
Terrazzi:
2
mq Terrazzo:
38,7
Classe energetica:
Non dichiarata
Stato Immobile:
Buono
Grado:
Medio
Giardino:
Privato
Tipo Soggiorno:
Soggiorno
Tipo Cucina:
Abitabile
Riscaldamento:
Autonomo
Tipo Riscaldam.:
Caldaia
Tipo Impianto:
Radiatori
Infissi:
Legno
Persiana:
Persiana Legno
Pavim. Giorno:
Cotto
Pavim. Notte:
Parquet
Pavim. Bagno:
Ceramica
Mappa
Via delle Macine , 47 - Lastra a Signa (FI)
Planimetrie
Richiedi informazioni
Invia
Cookie preference